Urgente

Furacão Melissa se torna o mais forte do ano e ameaça Caribe

Fenômeno atinge ventos de 280 km/h e já deixou sete mortos em países da região

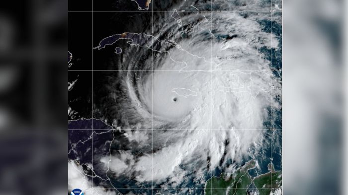
Furacão pode ser o mais forte da história da Jamaica (Foto: Cooperative Institute for Research in the Atmosphere (CIRA)/National Oceanic and Atmospheric Administration (NOAA))
Furacão pode ser o mais forte da história da Jamaica (Foto: Cooperative Institute for Research in the Atmosphere (CIRA)/National Oceanic and Atmospheric Administration (NOAA))

O furacão Melissa alcançou a categoria 5 na escala Saffir-Simpson e é considerado o mais forte do ano, segundo o Centro Nacional de Furacões dos Estados Unidos. De acordo com a BBC News, o fenômeno apresenta ventos superiores a 280 km/h e avança lentamente sobre o Caribe, gerando preocupação por seu enorme poder de destruição.

O olho do Melissa se desloca a menos de 7 km/h ao sul da Jamaica, onde deve tocar o solo até o fim desta terça-feira. O ritmo lento significa que chuvas intensas e ventos devastadores já afetam a região há dias e podem persistir por mais tempo.

Continua depois da publicidade

O ministro da Água, Meio Ambiente e Mudanças Climáticas da Jamaica, Matthew Samuda, afirmou à BBC que a situação é “assustadora”. Segundo ele, 70% da população vive a menos de 5 km do mar, o que deixa áreas baixas — como Kingston, Old Harbour Bay e Rocky Point — sob alto risco de inundações. “Esperamos ter feito o suficiente em termos de preparação”, disse.

De acordo com a UOL, o furacão já causou sete mortes no Caribe: três na Jamaica, três no Haiti e uma na República Dominicana. As vítimas jamaicanas morreram durante preparativos para o impacto, ao serem atingidas por galhos ou eletrocutadas durante podas preventivas, informou o ministro da Saúde local, Chris Tufton.

Meteorologistas projetam que o Melissa pode ser a tempestade mais destrutiva da história da Jamaica, com mais de mil pessoas já abrigadas. A previsão é que a ilha sofra “destruição generalizada”, com danos severos em casas e infraestrutura.

A analista Sarah Keith-Lucas, da BBC, lembrou que furacões diretos sobre a Jamaica são raros — apenas três desde 1988 —, o que agrava o impacto potencial deste evento.

O furacão deve seguir depois em direção a Cuba, atingindo a província de Santiago de Cuba, onde 500 mil pessoas foram evacuadas.

Segundo meteorologistas citados pela BBC, a força do Melissa se explica por três fatores: águas excepcionalmente quentes no Caribe Ocidental, pouco cisalhamento de vento — o que permite que o sistema cresça de forma estável — e movimento lento, que mantém o furacão sobre as mesmas áreas por longos períodos.

Especialistas apontam que o aquecimento global intensifica a força dos furacões. Embora o número de tempestades não tenha aumentado, as mudanças climáticas tornam as que se formam mais intensas, com ventos mais fortes e chuvas mais volumosas. O Painel Intergovernamental sobre Mudanças Climáticas (IPCC) prevê aumento global na proporção de ciclones de categoria 4 e 5 nas próximas décadas.

A temporada de furacões no Caribe vai de junho a novembro, com pico em outubro. A cada ano, a Jamaica costuma enfrentar duas ou três tempestades tropicais, mas raramente de forma tão direta — e com tamanha potência.

Continua depois da publicidade

 

 






Conteúdo Patrocinado



Comentários:

Somente usuários cadastrados podem postar comentários.

Clique aqui para fazer o seu cadastro.

Se você já é cadastrado, faça login para comentar.

WhatsAPP DIARINHO

Envie seu recado

Através deste formuário, você pode entrar em contato com a redação do DIARINHO.

×






216.73.216.158


TV DIARINHO


🌿🌞 EXPLOSÃO AMARELA! | Garapuvus em flor viraram atração nos bairros de Itajaí! Além de lindos, eles ...



Especiais

Vítimas esperam indenizações enquanto sócios vivem em imóvel de R$5 milhões

Caso Backer

Vítimas esperam indenizações enquanto sócios vivem em imóvel de R$5 milhões

EUA gastaram milhões para cooptar PF há 20 anos; processo não foi julgado

POLÍCIA FEDERAL

EUA gastaram milhões para cooptar PF há 20 anos; processo não foi julgado

Após avanço no STF sobre reajuste, idosos podem ter derrota para planos de saúde na Câmara

SAÚDE

Após avanço no STF sobre reajuste, idosos podem ter derrota para planos de saúde na Câmara

Vítimas de nudes com IA sofrem em limbo digital enquanto sites lucram: “Me senti abusada”

PERIGO DA IA

Vítimas de nudes com IA sofrem em limbo digital enquanto sites lucram: “Me senti abusada”

Cidades mineiras se preparam para exploração de enorme jazida de terras raras

EXPLORAÇÃO

Cidades mineiras se preparam para exploração de enorme jazida de terras raras



Blogs

Deputados rejeitam mudança do hino estadual

Blog do JC

Deputados rejeitam mudança do hino estadual

Benefícios do orégano

Blog da Ale Françoise

Benefícios do orégano

Itajaí fica por último mais uma vez

Blog do Magru

Itajaí fica por último mais uma vez



Diz aí

"Tem que entregar. Ninguém está garantido nesse governo. Nem nós."

Diz aí, Rubens!

"Tem que entregar. Ninguém está garantido nesse governo. Nem nós."

“Acho que a atividade-fim tem que se manter 100% pública, que é a educação”

Diz aí, Níkolas!

“Acho que a atividade-fim tem que se manter 100% pública, que é a educação”

"Nosso projeto é de clube formador, de dar oportunidades aos jovens talentos"

Diz aí, Bene!

"Nosso projeto é de clube formador, de dar oportunidades aos jovens talentos"

“O gargalo que a gente enfrenta é a mão de obra e a qualificação da mão de obra”

Diz aí, Thaisa!

“O gargalo que a gente enfrenta é a mão de obra e a qualificação da mão de obra”

"Comprem em Camboriú porque vai valorizar. Camboriú é a bola da vez"

Diz aí, Pavan!

"Comprem em Camboriú porque vai valorizar. Camboriú é a bola da vez"



Hoje nas bancas

Capa de hoje
Folheie o jornal aqui ❯






Jornal Diarinho ©2025 - Todos os direitos reservados.